
ДУ «Дніпропетровська фітосанітарна випробувальна лабораторія ДПСС» прийняла участь в перевірці кваліфікації (PT № 25Cpla) з мікологічної експертизи за напрямком «Ідентифікація та виявлення Ceratocystis platani морфологічними або молекулярними методами».
Коордінатор перевірки кваліфікації: Лабораторія здоров'я рослин (LSV-OCIL). Для виконання технічних робіт була задіяна Європейська референтна лабораторія грибів та ооміцетів (European Union Reference Laboratory (EURL) for Fungi and oomycetes ANSES Plant Health Laboratory - Mycology Unit).
Результати, що були надані лабораторією, відповідають очікуваним результатам, визначеним координатором перевірки кваліфікації РТ № 25Cpla та підтверджують компетентність ДУ «Дніпропетровська фітосанітарна випробувальна лабораторія ДПСС».
Інформуємо Вас, що у Дніпрі діють комплексні програми «Ветеран. Робота», спрямовані на працевлаштування та відкриття бізнесу, зокрема через цифрову платформу Ветеран PRO та ініціативи громадської організації «Ветеранський простір Дніпропетровщини». Ветерани та члени їхніх сімей можуть отримати гранти від 250 тис. до 1 млн грн на власну справу.
Грантові програми (через Дніпропетровську облраду):
Основні напрямки підтримки у Дніпрі:
Навчання та адаптація: Громадська організація «Ветеранський простір Дніпропетровщини» проводить навчання (онлайн та офлайн) з працевлаштування, а також консультації з правових питань та оподаткування. Працевлаштування: Функціонує спеціальний розділ на сайті Дніпровської міської ради з актуальними вакансіями для ветеранів.
Допомога дружинам ветеранів: Онлайн-програми, спрямовані на економічне та соціальне благополуччя сімей захисників.
Для отримання детальної інформації та реєстрації можна звертатися до Дніпропетровської обласної ради або ЦНАП м. Дніпро.
Календарний план спортивних заходів Мінветеранів на 2026 рік за посиланням
З 18 по 20 листопада 2025 року провідні фахівці відділу фітосанітарного аналізу Державної установи «Дніпропетровська фітосанітарна випробувальна лабораторія Держпродспоживслужби» Галич Ірина та Костинчук Ганна прийняли участь в навчальному курсі у Центральній Референс Лабораторії Головного Інспекторату Здоров'я Рослин та Насінництва Польщі у місті Торунь.
Метою навчання було ознайомлення з структурою та завданнями Центральної лабораторії в галузі гельмінтології та ентомології, відповідно до положень Регламенту ЄС 2017/625, а також ознайомлення з лабораторією та методами, що використовуються для діагностики фітонематод та комах.
Програма курсу включала:
Було багато практики, запитань та цікавих дискусій. Акцент був зроблений на використанні сучасного обладнання.
Щиро дякуємо організаторам навчання та керівництву, фаховим спеціалістам Центральної фітосанітарної референтної лабораторії за можливість обміну досвідом, за професійний підхід, відкритість до співпраці та гостинність.

Щороку 1 жовтня ми відзначаємо свято всіх, хто стоїть на захисті нашої країни — День Захисника і Захисниці. Це день глибокої поваги та вдячності військовослужбовцям, ветеранам та всім, хто щодня виконує свій обов'язок, ризикуючи життям заради нашої свободи.
Від колективу Державної установи «Дніпропетровська фітосанітарна випробувальна лабораторія Держпродспоживслужби», прийміть найщиріші вітання з Днем захисників і захисниць України.
Дорогі захисники й захисниці України! У цей святковий день прийміть нашу щиру подяку за вашу відвагу і самовідданість. Нехай ваша сила та мужність надихають нас усіх, а мир та добробут завжди панують у наших домівках.
Нам, звичайно, хотілося б миру в усьому світі, але, на жаль, в нашому житті таке навряд чи можливо. А тому особливо важливо те, що за наше життя і свободу є кому постояти!
Бажаємо Вам доброго здоров'я, щастя, добробуту і всього світлого і прекрасного!
Слава Україні! Слава героям!
Директор Павло Іванченко

1 жовтня — особливий день для нашої держави. Сьогодні ми вшановуємо мужність, самопожертву та незламність усіх, хто боронить Україну. Це день тих, хто сьогодні на фронті виборює свободу, і тих, хто у різні часи нашої історії відстоював право українського народу жити у власній, незалежній державі.
Цей день символічно об’єднує кілька важливих для нашої історії подій: свято Покрови Пресвятої Богородиці, яка здавна була оберегом воїнів; День Українського козацтва, що уособлює силу та волелюбність нашого народу; а також сучасне свято — День захисників і захисниць України.
Сьогодні ми схиляємо голови з вдячністю перед усіма воїнами, які боронять країну, та у скорботі перед світлою пам’яттю тих, хто віддав життя за незалежність і майбутнє нашої держави.
Мужність і стійкість наших захисників та захисниць — це запорука перемоги України.
Дякуємо кожному і кожній за службу, відданість і любов до Батьківщини.
Разом ми сильні. Разом ми переможемо.
Слава Україні!
Держпродспоживслужба
Головний фахівець Державної установи «Дніпропетровська фітосанітарна випробувальна лабораторія Держпродспоживслужби» Галич Ірина в період 17-18 липня 2025 року прийняла участь у стажуванні для фахівців фітосанітарних випробувальних лабораторій Держпродспоживслужби за напрямком «Ентомологія» на тему «Актуальні питання ентомологічної експертизи».
Стажування було проведене на базі ДУ «Одеська ФВЛ ДПСС». Учасники підвищили професійну компетентність, здобули нові знання у сфері фітосанітарної експертизи. Було багато практики, запитань та цікавих дискусій.
Програма стажування включала теоретичні лекції та практичні заняття від досвідчених фахівців. Особливу увагу було приділено методам моніторингу та дослідженням регіональної ентомофауни, шкідників лісу та садово-паркового господарства. Також було розглянуто морфологічні та біологічні особливості небезпечного карантинного шкідника - південноамериканської томатної молі (Tuta absoluta Meyr.), правила ведення колекційного матеріалу, правила проведення міжлабораторних порівнянь, баркодінг, верифікація методів.

12 травня весь світ відзначає Міжнародний день здоров’я рослин — подію, покликану нагадати про важливість збереження рослинного світу для сталого розвитку людства, безпеки продовольства та охорони довкілля. З цієї нагоди фахівці нашої лабораторії долучилися до просвітницької роботи, щоб поділитися знаннями й актуальними науковими підходами до захисту рослин із широкою аудиторією.
Упродовж тижня було організовано низку тематичних зустрічей та інформаційних сесій. Учасники заходів дізналися про існування шкідливих видів організмів та методів боротьби з ними, біологічні засоби захисту, важливість збереження біорізноманіття, а також роль наукових досліджень у підтримці екологічного балансу.
Окрему увагу було приділено проблемі змін клімату та її впливу на фітосанітарний стан сільськогосподарських культур.
Такі ініціативи вкотре доводять, що поширення наукових знань та підвищення обізнаності є важливим кроком до відповідального ставлення до природи та гармонійного співіснування з нею.
Ми вдячні всім, хто долучився до ініціатив, і переконані, що подібні заходи сприяють поширенню екологічної культури, зміцнюють зв’язок науки й суспільства, а також мотивують молодь до глибшого розуміння ролі рослин у житті планети.

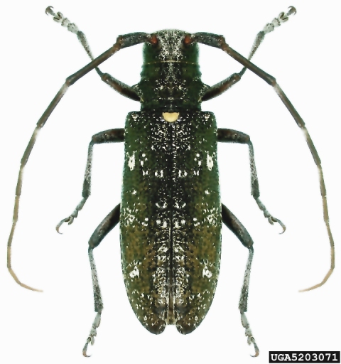
Рис 1. Імаго A. planipennis
Рис 2. Личинка та галереї A. planipennis
Рис 3. Льотний отвір та лялечка A. рlanipennis
Ясенева смарагдова златка відноситься до групи стовбурових шкідників, здатних поселятися як на здорових,так і ослаблених деревах, що неминуче приводить до їх загибелі. Шкідник вкрай небезпечний для ясена, деяких видів в`язів, горіху. Також пошкоджує інші листяні породи дерев: тополю, осику, клен, березу, вільху, дуб, граб, липу, ліщину.
Біологія. A. planipennis зазвичай має одну генерацію на рік, хоча для деяких особин може знадобитися два роки. Коли розвиток триває один рік, дорослі починають з'являтися наприкінці весни – на початку літа.
Імаго, після появи, піднімаються на крону «материнського» дерева і живляться листям. Після 3-4 годин живлення, вони, починають літати. Імаго продовжують живитися листям впродовж всього життя, зберігаючи активність 6-17 годин на добу, особливо в теплі, сонячні дні. У хмарні або дощові дні, жуки відпочивають в тріщинках кори або на листі. Вони залишаються на листі і в вночі. Яйця відкладають по одному на поверхню кори, в тріщини кори і розтріскування. Кожна самка може відкласти 68-90 яєць. Самці зазвичай живуть 2 тижні, самки - 3 тижні.
Ембріональний розвиток яєць триває близько одного тижня.
Тунелі личинок першого віку проходять через кору і луб до камбію, в якому вони живляться з середини червня до середини жовтня. Личинки роблять в заболоні довгі звивисті (спіральні) галереї (аж до 22-36 см завдовжки), які збільшуються в залежності від росту і які наповнені коричневою тирсою. Дорослі личинки зимують в лялечкових колисочках.
Перетворення на лялечку відбувається в квітні-травні у кінці, тунелів біля поверхні. Поодинокі личинки, які не завершили цикл розвитку восени, зимують в камбії, потім у квітні продовжують живлення і завершують свій розвиток в кінці літа. Після відродження імаго залишаються під корою протягом 1-2 тижнів а потім з'являються через D-подібні льотні отвори, шириною близько 3,5-4 мм.
У ситуаціях, коли для завершення одного покоління потрібно два роки, молоді личинки (з 1-го до 3-го віків) зимують у камбіальній ділянці і відновлюють живлення навесні наступного року. Ці особини зимують вдруге у стадії личинки 4-го віку, а потім заляльковуються і дорослі комахи з'являються наступного року.
Симптоми пошкодження A. planipennis:
Морфологічний опис A. planipennis:
Яйця овальної форми, 1х0.6 мм, ясно-жовтого кольору, перед відродженням личинок набувають коричнево-жовтого кольору. Центр кожного яйця дещо випуклий.
Личинка. Дорослі личинки A. planipennis 26-32 мм завдовжки, вершкового-білого кольору. Тіло плоске і широке. Голова маленька, коричнева, втягнута в передньогруди, помітні лише ротові органи. Передньогруди збільшені, а середньо - та задньогруди є набагато вужчими. На середньогрудях є дихальця. Черевце складається з 10 сегментів. На 1-8 сегментах є по одній парі дихалець на кожному, на останньому сегменті є одна пара коричнюватих зазубрених стилетів.
Лялечка A. planipennis 10-14 мм завдовжки, вершкового-білого кольору. Антени загнуті назад до основи надкрил, останні декілька сегментів черевця дещо загнуті всередину.
Імаго A. planipennis 8,5-14 мм завдовжки і 3,1-3,4 мм завширшки. Тіло вузьке і видовжене, клиновидне, яскраве металево синьо-зеленого кольору. Цей вид характеризується щільною, гладенькою скульптурою. Голова плоска, її верхівка має форму щита. Очі складні, брунькової форми, бронзового забарвлення. Передньогруди прямокутні дещо ширші за голову, але такої ж самої ширини що і передній край надкрил. Передній край надкрил піднятий, утворює виражений горб, поверхня якого вкрита чіткою пунктировкою. Краї інших частин надкрил тупі з маленькими зубоподібними вузлуватими утвореннями.
Виявлення A. planipennis:
Всі життєві стадії (крім дорослих) ведуть прихований спосіб життя (яйця в тріщинах кори, личинки, лялечки пупарії, молоді жуки в корі або заболоні), що ускладнює їх виявлення. Заражені дерева не дають чітких симптомів, поки вони не будуть атаковані сильніше. Симптоми можуть бути помітними через 2-3 роки після першого заселення, особливо якщо початок зараження відбувається у верхній частині дерева. Симптоми на деревах також спочатку можна сплутати з симптомами захворювань або наслідком недостачі вологи. На наступних етапах зараження D-образні вихідні отвори та личинкові галереї можуть спостерігатися по всій частині стовбура. Також на заражених деревах можна спостерігати ушкодження завдані дятлами (відколювання, лущення кори або отвори), які шукають і витягують личинки златок. Пізніше спостерігається повна загибель уражених дерев.
Карантинні заходи. При ввезенні на територію України лісоматеріали та дерев’яна тара підлягають карантинному огляду на наявність шкідників. Основними заходами профілактики подальшого розповсюдження комахи є:
З 6 по 9 травня фахівці лабораторії (Пилявська О.А, Айнєтдінова Г.Ф.) прийняли участь в міжнародному навчальному курсі "BETTER TRAINING FOR SAFER FOOD" в м. Скернєвіце (Республіка Польща)/ Міжнародний курс «Better Training for Safer Food» (BTSF) є частиною масштабної ініціативи Європейського Союзу, що спрямована на підвищення рівня харчової безпеки шляхом забезпечення високоякісного професійного навчання фахівців у галузі контролю, інспекції та оцінки ризиків, пов’язаних із виробництвом і застосуванням засобів захисту рослин.
Курс, що був організованим у рамках вищезазначеної програми, проводився в Інституті садівництва в місті Скернєвіце (Республіка Польща) за участі профільних експертів та викладачів з різних країн-членів ЄС. Навчання охоплювало як теоретичний матеріал, так і широкий спектр практичних кейсів, дискусійних сесій і робіт у групах. Акцент був зроблений на відповідність європейським стандартам у сфері контролю технічного стану оприскувальної техніки (PAE – pesticide application equipment)

1 жовтня вся Україна святкує День захисників та захисниць. Так зазначив наш Президент.
Але сьогодні ми вшановуємо не тільки тих, хто мужньо боронить нашу державу, але й тих, хто віддав за неї найцінніше – своє життя.
Колектив ДУ «Дніпропетровська обласна фітосанітарна лабораторія» Держпродспоживслужби за дорученням Голови Держпродспоживслужби Сергія Ткачука також приєднався до Загальнонаціональної Хвилини Мовчання на честь наших мужніх полеглих Захисників та Захисниць.
О дев’ятій ранку наша лабораторія вшанувала пам’ять Героїв урочистим шикуванням та Хвилиною Мовчання. Вічна пам’ять героям!

Аналізування схожості проводять на насінні основної культури, виділеному під час визначення чистоти. Для цього довільно відраховують 400 насінин по 100 або 50 (для крупнонасінних культур) штук у кожному повторі. Насіння рівномірно розміщують на зволоженому субстраті.
Під час аналізування використовують фільтрувальний папір (Ф) та пісок (П).
Фільтрувальний папір як субстрат для ложе, використовують за двома варіантами: “на папері” (нФ) та “в папері” (вФ). Для зволоження папір занурюють у воду, виймають і дають стекти надлишку води (під час натискання пальцем водяна плівка навколо нього не утворюється). Під час аналізування “на папері” насіння розкладають на одному чи декількох шарах зволоженого паперу, укладеного у ростильні або чашки Петрі. Верхні ростильні накривають скляними пластинами або порожніми ростильнями, а чашки Петрі – накривками. Під час аналізування “в папері” насіння розкладають між двома шарами зволоженого паперу (краще розміщувати рядками, що полегшить окомірну оцінку проростків).
Пісок як субстрат для пророщування насіння (просіяний через решето з отворами діаметром 1 мм, промитий, прожарений до обвуглювання шматка паперу, вкладеного в нього) використовують за такими варіантам: “на піску” (нП) – насіння втискують у поверхню піску на їх товщину (діаметр); або “в піску” (вП) – розкладене на ложе насіння покривають шаром піску товщиною 1 – 2 см, залишаючи його пухким. Насіння кукурудзи, соняшнику, гарбузових та інших крупнонасінних культур розміщують зародком донизу.

Основні чинники, які впливають на зниження схожості протягом зберігання:
На основі лабораторних досліджень, враховуючи фактори які впливають на зниження схожості насіння, агроном може досить точно прогнозувати рівень польової схожості та добитися значного її підвищення. Це дає можливість сформувати оптимальну густоту стеблостою та в результаті збільшити виробництво зерна. Саме тому, обов’язково дізнайтеся про схожість насіння перед тим, як його висівати.
ДСТУ 4138-2002 Насіння сільськогосподарських культур. Методи визначення якості.
Під схожістю розуміють здатність насіння утворювати нормально розвинуті проростки. Цей показник виражається у відсотках до загальної кількості насіння, взятого для пророщування. Від схожості насіння залежить його посівна якість. Відповідні норми встановлені для всіх польових культур. Від схожості насіння залежить густота посіву і рівномірність розподілу стеблостою. Схожість насіння формується у процесі вирощування і значною мірою залежить від ґрунтово-кліматичних умов, технології вирощування, системи удобрення. На якість насіння впливає його дозрівання та організація збирання врожаю, а також його доробка (очищення, підсушування, калібрування).
Згідно з міжнародним стандартом ISTA та внутрішнім стандартом України ДСТУ 4138-2002 “Насіння сільськогосподарських культур. Методи визначення якості” при аналізуванні схожості насіння використовують такі поняття: нормальні проростки, аномальні проростки та непроросле (мертве відповідно до ISTA, зігниле згідно з ДСТУ) насіння.
До нормальних проростків відносять такі, у яких найбільш важливі структури (корінці, підсім’ядольне та надсім’ядольне коліна, брунечка, сім’ядолі, колеоптиль) добре та пропорційно розвинуті, цілі, здорові, а також з незначними дефектами тих структур, що не впливають на нормальний розвиток проростка. До них відносять й нормально розвинуті проростки з ознаками поверхневої інфекції, набутої від сусідніх хворих насінин.
До аномальних проростків відносять такі, які неспроможні розвинутись у повноцінні рослини навіть за сприятливих умов. До них відносять:
Непроросле насіння – насіння яке не проросло до закінчення аналізу, класифікується наступним чином:
Тверде насіння – насіння яке не бубнявіє внаслідок вологонепроникності шкірки;
Здорове непроросле насіння – насіння, яке внаслідок глибокого фізіологічного спокою залишається непророслим і не має ознак загнивання;
Зігниле (мертве) насіння: до кінця аналізу не є твердим, свіжим і не дало навіть частини проростка при натисканні деформується.

ДСТУ 4138-2002 Насіння сільськогосподарських культур. Методи визначення якості.

Південноамериканська томатна міль (Tuta absoluta) – загроза для світового виробництва томатів та інших пасльонових культур.
Гусениці шкідника можуть харчуватися на всіх частинах рослин томатів і ушкоджувати рослини на всіх стадіях росту. Вони утворюють великі міни на листах, вигризають довгі ходи в стеблах і пагонах, зелених плодах, викликаючи значні втрати врожаю, як у теплицях, так і у відкритому ґрунті. Ушкоджені плоди погано зберігаються, загнивають і втрачають товарну якість. Втрати врожаю можуть досягати 50-100%. Тривалість біологічного циклу розвитку шкідника становить 29-38 днів, залежно від кліматичних умов. При сприятливих умовах може давати від 5 до 13 поколінь.
Імаго томатної молі сіруватого кольору (можливі варіації від сріблистого до коричневато-розоватого кольору) із чорними симетричними плямами на передніх, вузьких крилах і довгими ниткоподібними вусиками на голові. Довжина тіла становить близько 6-7 мм. Розмах крил 8-12 мм.
Яйця кремово-жовтого кольору, мають овально-циліндричну форму, дрібні. Розташовуються, як правило, на нижній стороні листів.
Гусениці молодших віків білого або кремового кольору із чорною головою. У міру дорослішання колірне фарбування міняється, тіло здобуває зеленуватий або рожевий колір, а голова коричневий з характерним чорним обідком. Гусениця першого віку має довжину тіла близько 0,9 мм, старших віків 8-9 мм.
Південноамериканська томатна міль зимує в 3 стадіях: імаго, яйця, лялечки. В середньому самка відкладає близько 260 яєць на поверхню листків переважно з нижнього боку. До яйцекладки приступає на 3- й день після появи. 73% яєць відкладається на листи, 6% - на плоди й стебла. З яєць, відкладених на плоди, 90% відкладається на чашолистки, 10% - на зелені плоди. Метелик не відкладає яйця на зрілі плоди. За той час, поки плоди дозріють, гусені встигають залишити їх і залялькуватися. Гусениці відроджуються за 4-5 днів, що в подальшому проникають у плоди томату, листки, стебла рослини, де живляться і розвиваються, утворюючи міни. За 13-15 днів гусениці тричі линяють і проходять 4 віки.
Залялькування гусениць відбувається спершу у ґрунті на глибині 1-2 см, згодом заляльковуються на листовій поверхні чи у мінах. Тривалість залялькування для жіночих особин становить – 10-11 днів, а чоловічих – 11-13 днів, після чого виходять імаго. Через 1-2 дні самка випускає потужній феромон, яким приваблює самця до спарювання.
Листки гусениці виїдають так, що залишається лише епідерміс з верхньої та нижньої сторони, утворюючи двосторонню міну, яка має центральну камеру з розгалуженими в різні сторони ходами білого кольору, а екскременти знаходяться в нижній частині.
Міни частіше бувають прозорі, скрізь які видно гусениць середніх та старших віків. На плодах гусениці роблять невеликі вхідні отвори навколо чашелистика, згодом, в результаті накопичення в них екскрементів, пошкодження стають видимими.
Вхідні отвори можуть розміщуватися і в середині або нижній частинах плоду. Ходи глибокі, звивисті діаметром до 2-3 мм. У пошкоджених місцях відбувається загнивання плоду. Сильно пошкоджені листки та стебла засихають, а плоди втрачають товарний вигляд.
Біологічний метод є ефективним при впровадженні його в закритому ґрунті.
Використання феромонних пасток в сукупності з іншими заходами, дозволяє знизити чисельність Tuta absoluta, що в свою чергу веде до зменшення кратності обробок хімічними препаратами. Більш ефективними є світлові та кольорові пастки, на які виловлюються як самці так і самки. В теплицях добре застосовувати в боротьбі з томатною міллю ентомофагів (природніх ворогів) хижих клопів р.Podisus.
Важливим заходом агротехнічного методу по контролю чисельності молі є сівозміна.
У відкритому ґрунті для переривання циклу розвитку шкідника, грунт утримується в чистому вигляді, за принципом чорного пару, не менше ніж 6-8 тижнів. Також у місцях поширення томатної молі необхідно уникати спільних посадок ранніх та пізніх сортів, для запобігання збільшенню періоду розвитку шкідник.
Важливе місце займає хімічний метод боротьби високоефективними інсектицидами. Для ліквідації вогнища томатної молі обробіток проводиться з інтервалом 10-12 днів, бажано інсектицидами різної дії з розрахунком встановлених строків очікування.


Організація Об’єднаних Націй оголосила 12 травня Міжнародним днем здоров’я рослин. Це має мету підвищити глобальну обізнаність про те, як захист здоров’я рослин може допомогти ліквідувати голод, зменшити бідність, захистити біорозмаїття та стимулювати економічний розвиток.
Життя людини залежить від рослин. Вони є джерелом їжі та одягу.
Завдяки їм ми маємо паливо, будівельні матеріали і життєво важливі ліки. Від рослин залежать тварини, птахи й комахи. Також рослини впливають не лише на наше здоров’я, але і здоров’я нашої планети Земля. Рослини становлять 80% їжі, яку ми споживаємо і виробляють 98% кисню, яким ми дихаємо. Виявлено понад 300 тис. видів рослин, з яких 30 тис. видів є їстівними для людини, а понад 20 тис. рослин – лікарські.
Завдяки рослинним організмам у природі відбувається біологічний кругообіг речовин, вони регулюють газовий склад атмосфери, щорічно засвоюючи до 30 млрд тонн вуглецю. Зелені рослини основні продуценти органічної речовини, яка надходить у ґрунт. Своїм корінням вони не дають ґрунту рухатися й допомагають запобігати ерозії ґрунту.

Дуже важливо підтримувати рослини у здоровому стані для виживання людини та інших форм життя на Землі. Вирощувані культури пошкоджують понад 400 видів шкідників та 200 збудників хвороб, засмічують близько 300 видів бур’янів, які можуть спричини втрату до 40% світового врожаю продовольчих культур.

Зміна клімату та діяльність людини також впливають на здоров'я рослин, змінюючи екосистеми та зменшуючи біорозмаїття, створюючи нові ніші для розвитку шкідливих організмів. Міжнародні подорожі та торгівля спричиняють появі шкодочинних організмів рослин у місцях, де їх раніше не було. Треба сприяти адаптуванню рослинництва до зміни клімату. Це насамперед селекція та вирощування посухостійких і високопродуктивних сортів і гібридів сільськогосподарських культур. Розширення посівних площ культурних рослин з коротким вегетаційним періодом (отримувати хоча два врожаї в сезон). Відновлення ефективних систем зрошення та створення нових полезахисних смуг.
Забезпечення здоров’я рослин має важливе значення для життя на землі, і кожен з нас має поставити пріоритет здоров’я та захист рослин на перше місце. Слід бути обережними при купівлі насіння, рослин і рослинної продукції, особливо через дистанційну торгівлю, яка минає регулярні фітосанітарні перевірки. Важлива купівля насіння в спеціалізованих кампаніях і лише тих сортів, які занесені до Державного реєстру сортів рослин придатних для поширення на території України.
Аграрії та вчені всього світу постійно працюють над методами захисту сільськогосподарських рослин, щоб виключити небажаний вплив шкідливих факторів. Основними методами захисту є: агротехнічні, фізико-механічні, хімічні, біологічні та комплексні. Інтегрований метод захисту рослин дає гармонійне поєднання всього вище перерахованого. При проведенні захисту, перевагу, по можливості, віддавати біологічним методам захисту рослин. На відміну від пестицидів хімічного походження біопрепарати є безпечнішими для навколишнього середовища, людей, тварин, птахів, риб.
Щоб піклуватися про рослини, не обов’язково бути фахівцем. Кожен може і має зробити щось для їх захисту.

Головне управління Держпродспоживслужби у Дніпропетровській області щоденно стоїть на сторожі здоров’я рослин. Завдання, які виконують її територіальні органи спрямовані на зниження ризику появи шкідливих організмів, усунення негативних наслідків від використання пестицидів, контроль за торгівлею та використанням засобів захисту рослин.
Так, наприклад спеціалістами Головного управління Держпродспоживслужби в Дніпропетровській області спільно з Вченою радою ДУ Інституту зернових культур НААН, розроблено та затверджено «Прогноз Фітосанітарного стану агроценозів Дніпропетровської області та рекомендації щодо захисту рослин» у 2024 році.
Розроблено та впроваджено регіональну Програму боротьби із сажковими хворобами пшениці у Дніпропетровській області на 2024-2028 роки.
Також, важливо підтримувати інформованість та освіченість населення про проблеми здоров'я рослин та необхідність їх захисту. Держпродспоживслужба проводить відповідні інформаційні заходи для того, щоб залучити громадськість до питань здоров'я рослин.
Саме профілактика має сьогодні вирішальне значення у питаннях захисту рослин. Реалії сьогодення акцентують увагу на таких поняттях як «запобігання та захист». Тому, завчасно організований захист рослин (заходи з моніторингу, раннього попередження та недопущення проникнення та поширення інвазійних шкідливих організмів) є більш вигідним, ніж боротьба з ними у стані надзвичайної ситуації. І тут кожен відіграє свою важливу роль. Відповідальні особи в транспортній галузі мають бути впевнені, що кораблі, літаки, вантажні автомобілі та потяги не перевозять шкідливі організми на нові території.
Тому Держпродспоживслужба здійснює постійний фітосанітарний контроль комерційних вантажів з рослинами та рослинною продукцією з-за меж України. Однак для нас є фізично неможливим перевірити кожну частину ручної поклажі, яка надходить через аеропорти та порти. Тому, навчаючи громадськість головним ризикам, які несуть небезпечні карантинні організми для сільського господарства та природи нашої країни, ми сподіваємось на їх розуміння та підтримку, що допоможе зменшити кількість рослин та рослинних продуктів з неперевіреним фітосанітарним станом.

Завдяки спільним зусиллям державних органів, фермерів та громадськості можна забезпечити здоров'я рослин та підвищити якість продукції. Ми повинні згадати про важливість збереження рослинного світу та пам'ятати про те, що кожен з нас може допомогти в цьому завданні. Збереження здоров'я рослин – це забезпечення здорового майбутнього.

Начальник відділу фітосанітарних заходів на кордоні Управління фітосанітарної безпеки ГУ Держпородспоживслужби в Дніпропетровській області Шевченко Марина Василівна зробила доповідь «12 травня – Міжнародний день здоров'я рослин».
16 травня 2024 року у місті Дніпро вдбулася Міжнародна науково-практична конференція з нагоди 100-річчя від дня народження доктора сільськогосподарських наук, професора, академіка НААН України ФЕДОРА ТРОХИМОВИЧА МОРГУНА та 90-річчя Агрономічного факультету Дніпровського державного аграрно-економічного університету.
Спільно з фахівцями Управління фітосанітарної безпеки ГУ Держпродспоживслужби в Дніпропетровській області у конференції взяли участь фахівці Дніпропетровської обласної фітосанітарної лабораторії (головні фахівці відділу фітосанітарного аналізу та відділу визначення посівних якостей насіння - Козар Надія Анатоліївна, Айнєтдінова Гюльнара Фергатівна, Сороколет Анастасія Миколаївна).
Начальник відділу фітосанітарних заходів на кордоні Управління фітосанітарної безпеки ГУ Держпородспоживслужби в Дніпропетровській області Шевченко Марина Василівна зробила доповідь «12 травня – Міжнародний день здоров'я рослин».
Учасникам конференції були роздані листівки з інформацією по регульованим шкідливим організмам, обмежено поширеним в Україні:

Фото 1. Учасники Міжнародної науково-практичної конференції з нагоди 100-річчя від дня народження доктора сільськогосподарських наук, професора, академіка НААН України ФЕДОРА ТРОХИМОВИЧА МОРГУНА та 90-річчя Агрономічного факультету Дніпровського державного аграрно-економічного університету.

Фото 2. Учасники Міжнародної науково-практичної конференції з нагоди 100-річчя від дня народження доктора сільськогосподарських наук, професора, академіка НААН України ФЕДОРА ТРОХИМОВИЧА МОРГУНА та 90-річчя Агрономічного факультету Дніпровського державного аграрно-економічного університету.

Фото 3. Президіум Міжнародної науково-практичної конференції з нагоди 100-річчя від дня народження доктора сільськогосподарських наук, професора, академіка НААН України ФЕДОРА ТРОХИМОВИЧА МОРГУНА та 90-річчя Агрономічного факультету Дніпровського державного аграрно-економічного університету

Фото 4. Учасники Міжнародної науково-практичної конференції
Фото 5. Учасники Міжнародної науково-практичної конференції та роздача ілюстративного матеріалу

Фото 6. Виїзд на демонстраційні посіви Дніпровського державного аграрно-економічного університету

Фото 7. Виїзд на демонстраційні посіви Дніпровського державного аграрно-економічного університету

Фото 8. Виїзд на демонстраційні посіви Дніпровського державного аграрно-економічного університету

6 березня 2024 року в ДУ «Дніпропетровська обласна фітосанітарна лабораторія» та управлінні фітосанітарної безпеки Головного управління Держпродспоживслужби в Дніпропетровській області відбулася зустріч з представниками Дніпровського державного аграрно-економічного університету (кафедра загального землеробства та грунтознавства, кафедра рослинництва) та Сільськогосподарської консультативної служби Дніпропетровської області. В ході зустрічі фахівці лабораторії ознайомили слухачів з основними відділами лабораторії (відділ реєстрації зразків-об`єктів регулювання та оформлення документів; відділ фітосанітарного аналізу; відділ визначення посівних якостей насіння і товарних якостей садивного матеріалу), основними напрямками їх діяльності, видами експертиз та методами проведення випробувань. Було приділено увагу обладнанню яке застосовується в кожному виду випробувань та ознайомили з колекційними і наглядовими матеріалами. Було висвітлено ключові питання акредитації та особливості функціонування Системи управління якістю у лабораторії.
При підведенні підсумків робочої зустрічі за «круглим столом» керівниками відділів, представниками лабораторії фітосанітарної безпеки та науковцями обговорювались актуальні питання фітосанітарії, задачі та шляхи їх вирішення, про подальшу співпрацю із залучення студентів з метою підвищення знань в області фітосанітарії, проведення занять, виробничих та дипломних практик студентів профільних факультетів ДДАЕУ та залучення широкого кола науковців та фахівців до вивчення і дослідження біорізноманніття нашого регіону з метою недопущення проникнення та(або) поширення регульованих шкідливих організмів.


14.09.2023 в Нікопольському районі Дніпропетровській області за допомогою феромонних пасток вперше виявлений карантинний шкідник відсутній на території України – жовто-бурий мармуровий клоп (наукова назва - Halyomorpha halys Stal., 1855).
Імаго жовто-бурого мармурового клопа мають довжину 12-17 мм і приблизно стільки ж завширшки, злегка сплющене, утворюючи форму геральдичного щита, характерну для клопів клопів-щитників родини Pentatomidae. Колір імаго коричневий, спинка і голова мають незвичайні «вкраплення», що візуально створює мармуровий відтінок. Характерна особливість - світлі кільця на вусиках та ногах, яких немає у інших споріднених видів.
Навесні самка відкладає світло-зелені кулясті яйця, які поступово стають білими, розміром від 1,3 до 1,6 мм. Зазвичай вона прикріплює їх до нижньої сторони листа купками по 28 штук. Відроджуючись, німфи можуть залишатися у кладці протягом кількох днів. Личинки клопа мають п'ять вікових груп, які виглядають по-різному. Німфи в першому віці мають помаранчеве або червоне забарвлення. На другій віковій стадії личинка стає темною, майже чорною. На наступних віках личинки набувають коричнево-білого забарвлення. Повний цикл розвитку займає 35-45 днів.
Жовто-бурий мармуровий клоп є серйозним сільськогосподарським шкідником, він агресивний поліфаг (багатоїдний), що харчується більш ніж на 100 видах рослин із 48 родин. Пошкоджує:
Личинка і доросла комаха харчуються одними і тими ж видами рослин, це — плоди і молоді пагони більшості сільськогосподарських культур. Клоп проколює хоботком зовнішні тканини рослин, висмоктуючи сік. Здатний проколювати кору деяких дерев для живлення.
Симптомами пошкоджень є поява падалиці, характерні проколи листя і плодів з утворенням некротичних зон.
Якщо не боротися з клопом, він здатний не просто пошкодити врожай, а навіть повністю його знищити. Шкода і шкідливість фітофага дуже великі — зниження врожайності в 2-3 рази: на плодових зерняткових яблуні і груші утворюється некроз, обкоркування, горбистість, а під шкіркою — суха ватоподібна тканина, на винограді — ягоди не розвиваються і опадають; на фундуку пошкоджує горіхи в стадії молочно-воскової стиглості, призводячи до припинення розвитку ядра, на інжирі та хурмі призводить до недорозвиненості і передчасного опадання плодів, на перці і томатах в місцях проколу розвивається гниль плодів, на кукурудзі в качанах не розвиваються зернівки.
Крім прямої шкоди, є переносником фітоплазмозу павловнії та ряду інших фітоплазменних захворювань рослин. Розвивається в трьох поколіннях протягом року:
У холодну пору року ховається в опалому листі, в заростях сухої трави, в будівлях, сараях, складах.
Основним ворогом клопа є паразитична оса Trissolcus japonicus, яка мешкає в рамках природного ареалу жовто-бурого мармурового клопа в Китаї та Японії. Оскільки цей вид ос паразитує на яйцях клопа, у нього немає можливості поширюватися за шкідником на інші континенти. В даний час в США ведуться роботи з інтродукції ос Trissolcus.
Оскільки жовто-бурий мармуровий клоп це інтродукований вид, то у нього немає природних ворогів, які можуть контролювати у нас його кількість. Окрім того, виділення особливими залозами комахи різкого неприємного запаху, що нагадує суміш запахів кінзи та горілої резини, відлякує від шкідника птахів і комах-ентомофагів. До речі, цей запах може викликати алергічні реакції у людей.
Для боротьби з жовто-бурим мармуровим клопом ефективним є лише хімічний захист. Він нечутливий до інсектицидів піретроїдного ряду, що значно ускладнює боротьбу з ним. У світовій практиці використовують інсектициди на основі діючих речовин біфентрин та гамма-цигалотрин (інсектицид Талстар та Вантекс). Концентрація робочого розчину 4 мл на 10 л води. Дворазова обробка. Ефективно проти личинок старших вікових груп та імаго.
Слід пам'ятати, що основний «удар» по шкіднику слід наносити в весняний період, коли розвивається перше його покоління. Тим самим є можливість скоротити чисельність першого покоління, що закономірно призведе до зниження чисельності і наступних поколінь, а, отже, зменшити витрати на захисні заходи.
Сьогодні, за спостереженнями фахівців, цього карантинного шкідника вже помічено у різних регіонах України, а отже, потрібно вживати заходів боротьби, аби не втрачати врожай через ще одного «ненажеру».

З метою популяризації знань у сферах карантину і захисту рослин серед учнів та студентів, фахівці– фітосанітарної лабораторії провели відкриті уроки та лекційні заняття, в навчальних заклада. Звернули увагу на прояви найпоширеніших хвороб рослин та шкідників, розповіли про важливість рослин, їх роль у здоров’ї людини та планети. Під час зустрічей з дітьми та молоддю звертали увагу на ризики переміщення рослин та пов’язаних з ними шкідливих організмів при міжнародних подорожах.

Лускокорилі або метелики (Lepidoptera): Виїмчастокрилі молі (Gelechiidae): Phthorimaea
Картопляна міль пошкоджує культурні та дикорослі рослини родини пасльонових, особливо картоплю. Основним резерватом моли є картоплесховища.
Батьківщина картопляної молі - Північна Америка. На даний час вона розповсюджена по всім континентам.
Імаго – невеликий метелик, розмах крил 12-16 мм. Голова і щупики світло-сірі з жовтими лусочками. Передні крила широко ланцетні, коричнево-сірі з чорнуватим внутрішнім краєм. У самки три невеликих плями, розміщених ближче до основи заднього краю крил і темна смуга. У самця невеликі плями чітко відокремлені. Задні крила світло-сірі, однорідні з бахромою сірого кольору, довжина її більша ширини крила. У самців на передньому краї заднього крила розміщена кисть френулюм), яка доходить майже до середини крила. Вусики темно-сірі щетинковидні.
Яйце овальної форми, ширина 0,36-0,45мм, довжина 0,48-0,80мм , перлинно-біле, перед відродженням гусениці – жовте. Яйця бувають вкриті секретом, оболонка гладенька, дещо сітчаста.
Гусениця гола, з первинними щетинками, щойно відроджена із яйця завдовжки 1-2мм, доросла 8-10мм; жовтувато-рожева або сірувато-зелена, з поздовжньою смугою посередині. Грудний щиток чорний, з поздовжньою світлою смугою; анальний-жовтий; грудні ноги чорні.
Лялечка коричнева, довжиною 5,5-6,5 мм, кінці крил у самців доходять майже до середини сьомого сегмента черевця, у самки - до половини шостого. Кінець черевця зі щетинками. Лобний шов сильно вигнутий. Лялечка знаходиться у коконі сірувато-сріблястого кольору, довжиною до 10 мм, у самців зазвичай менше, ніж у самок.
В зоні вирощування картоплі за вегетаційний період може розвиватися 1-3 покоління. Життєвий цикл від яйця до виходу імаго 20-30 днів літом і до 2-4 місяців зимою. Літ метеликів відбувається з травня до кінця жовтня, а їх максимальна чисельність з третьої декади липня по другу декаду вересня, коли середньодобова температура повітря досягає 22-25°С. Інтенсивний літ метеликів можна спостерігати після заходу сонця та на світанку. Вдень імаго сидять нерухомо; їх можна найти на нижній стороні листків. Самка відкладає яйця через добу після спарювання. В середньому одна самка відкладає 62-110 яєць, максимально до 400. В польових умовах самка картопляної молі відкладає яйця на ґрунт біля рослини, на неприкриті клубні, в тріщини, на нижню сторону листя і стебла. Відроджені гусениці харчуються вегетативними органами рослини, виїдають паренхіму, утворюючи в листках і стеблах «міни». Залялькування відбувається в поверхневому шарі ґрунту, під бульбами або на рослині при основі черешків листків, а також в різних щілинах, на мішковині або в тарних ящиках. Летальними температурами для усіх фаз шкідника є -4…+36°С.
На стадії яйця, гусениці і лялечки, картопляна міль може розповсюджуватися з посівною картоплею, ґрунтом, інвентарем, сміттям. Імаго може самостійно перелітати.
Найбільшу шкоду міль спричиняє картоплі. Відроджені гусениці виїдають паренхіму, утворюючи в листках і стеблах міни, за якими можна швидко виявити місце знаходження шкідника. Гусениці молодших віків часто роблять ходи в центральній жилці листка. В бульби гусениці вгризаються через вічка, в які самки, зазвичай, відкладають яйця. Характерною ознакою пошкодження бульб картоплі є екскременти гусениць молі на поверхні бульб. Ходи гусениць знаходяться під шкіркою і всередині бульби. Згодом стара частина ходів заповнюється екскрементами; стінки ходів вкриваються шкіркою і при розкритті легко відділяються від здорової частини бульби. Плоди томатів і баклажанів, які мають гладеньку поверхню пошкоджуються гусеницями біля плодоніжки або в місці прикріплення квітки. При розрізі ушкоджених плодів можна виявити гусениць різних віків та їхні ходи заповнені екскрементами. Ушкоджені плоди погано зберігаються, вражаються хворобами, втрачають товарний вигляд та якість. Пошкоджені листя тютюну стають непридатними для виготовлення сировини.

Соснова стовбурова нематода Bursaphelenchus xilophilus (А-1)
Географічне поширення:
Європа: Португалія, Іспанія
Азія: Китай (в т.ч. о.Тайвань), Корея (Південна), Японія
Північна Америка: Канада, Мексика, США

Цей вид нематод, завезений в Південно-Східну Азію із Північної Америки, спричинив масове всихання сосни в Японії та Китаї.
Активно розмножуючись в деревині і поширюючись разом із зараженими жуками-переносниками, цей карантинний фітогельмінт здатен за 30-40 днів привести до повної загибелі дорослі хвойні дерева.
Щорічні втрати деревини внаслідок захворювання на Японських островах в 1970-1980 роках склали 2 млн. кубометрів, що становить близько 10 мільйонів хвойних дерев, а витрати на боротьбу – 30-40 млн. дол. за рік. В Китаї з 1982 по 2003 рік внаслідок зараження сосновою нематодою загинуло 5,2 млн. хвойних дерев. В Португаліі в якості заходів боротьби вирубано більш ніж 500 тисяч хвойних дерев з ознаками ураження. В Південній Кореї з 2000 по 2008 рік було вирубано майже 2 млн. хворих дерев, а щорічні економічні втрати, в зв’язку з вжитими заходами контролю, становили більш ніж 10 млн.дол. і ці цифри щорічно зростають.
Більшість країн світу внесли соснову стовбурову нематоду в перелік карантинних організмів і впровадили заборону на імпорт необроблених відповідним чином лісоматеріалів.
Рослини-живителі: хвойні дерева родів сосна (Pinus), ялина (Picea), модрина (Larix), ялиця(Abies), кипарисовик (Chamaecyparis), кедр(Cedrus), псевдотсугa (Pseudotsuga)

Основними переносниками соснової стовбурової нематоди є жуки-вусачі з роду Моnochamus (В Північній Америці це Monochamus carolinensis та Monochamus scutellatus, а в Японії – Monochamus alternatus), що пов`язані у своєму життєвому циклі із хвойними рослинами. Також соснову стовбурову нематоду неодноразово виявляли в тілі (або на тілі) вусачів з інших родів родини Cerambycidae(Вусачі), а також у златок та довгоносиків.<
На Євразійському просторі поряд із Вursaphelenchus xylophilus мешкає близький до нього вид Bursaphelenchus mucronatus. При схрещуванні цих двох видів можуть утворюватися патогенні гібриди. Обстеження лісів у європейських країнах (Фінляндії, Швеції, Норвегії, Польщі, Німеччині) засвідчує, що переносниками виду В.mucronatus є чорний ялиновий вусач (Monochamus sutor) і чорний сосновий вусач (Monochamus galloprovincialis ). Тому усі види вусачів із роду Monochamus можна розглядати як потенційних переносників соснової стовбурової нематоди.
Захворювання і в’янення хвойних порід, спричинювані стовбуровою нематодою, інтенсивно проявляються у районах із середньомісячними температурами повітря липня і серпня +25°С.
За таких умов дерева гинуть протягом одного вегетаційного сезону. Зниження середньомісячних температур до +20-+25°С затягує розвиток хвороби на два роки. Захворювання не розвивається за середньодобових температур нижче+ 20°С. Дефіцит вологи посилює в’янення.
Захворювання, що викликає соснова стовбурова нематода, по суті є комплексним паразитарним захворюванням, де бере участь цілий патогенний комплекс: «нематода + топатогенний гриб», а також комаха-переносник.
Перші симптоми патологічної реакції рослини на клітинному рівні з`являються через 24 години після ураження. Проходить руйнація клітин смоляних каналів дерев, знижується виділення смоли і транспірація. В подальшому симптоми проявляються у такій послідовності:
Зовнішні ознаки (в’янення рослин) спостерігаються через 10-20 днів після ураження дорослих рослин і через 6-7днів у сіянців.
Тож, при обстеженнях лісових насаджень, особливу увагу слід звертати на такі характерні зовнішні ознаки можливої наявності соснової стовбурової нематоди як:

У зв'язку з цим на зараження хвойних порід нематодами Bursaphelenchus насамперед обстежують дерева, що загинули, на всіх стадіях всихання. Проби деревини беруть зі стовбурової частини на значній відстані від кореня; зі всохлих гілок І-2-го порядку, особливо з ходами стовбурних шкідників та деревофарбуючих грибів. Зі стовбурової частини та гілок випилюють ділянки деревини завтовшки 2-5см та завдовжки 25см, або вирубують сокирою шматок деревини розміром 10 на 10см.
При взятті проби буром її поміщають у паперовий пакет.
Заповнюють і додають етикетку встановленого зразка.
Обстеженню на виявлення нематоди підлягають: тирса, стружки, дошки та інші залишки лісоматеріалів в лісонасадженнях.
Повалені та зрубані дерева можна обстежувати протягом всього вегетаційного періоду.
Аналіз дерев, зрубаних та повалених у поточному році, найліпше проводити у липні-серпні, коли вусачі вже відклали яйця.
Обстеженню на виявлення нематоди підлягають усі лісоматеріали, пиломатеріали, дерев'яні пакувальні матеріали , а також залишки лісо- та пиломатеріалів - тирса, стружки, дошки. Обстежують сортименти деревини як на нижніх так і на верхніх шарах складів.
При обстеженні на складах керуються такими положеннями:
a) Хвойні лісоматеріали, а також дерев’яні пакувальні матеріали із країн поширення нематоди Bursaphelenchus xilophilus дозволяється ввозити на територію України лише без кори чи її залишків, після обробки за методом теплового сушіння або фумігації, про що зазначається у фіто санітарному сертифікаті з відповідним маркуванням на деревині. (Метод теплової сушки – kiln drying – коли матеріал розігрівається з досягненням температури серцевини деревини 56°С протягом 1 години. Вологість деревини після обробки не повинна перевищувати 20%.)
b) Садивний матеріал заборонено ввозити з регіонів розповсюдження нематоди.
c) У вогнищах запроваджується особливих карантинний режим. У зоні ураження обов’язкове знищення заражених дерев радикальним методом з негайним їх викорчовуванням та спалюванням. Дезінфекція засобів та інвентарю; використання ураженої деревини можливе тільки після термічної обробки з прогріванням гарячою водяною парою до 60-70°С





На початку літа молоді імаго жука-вусача, що несуть у собі нематод (трансмісійні личинки 4-го віку), виходять з деревини мертвого дерева, де вони зимують, і заселяють здорові дерева. Протягом 3-4 тижнів йде додаткове живлення жуків на молодих гілочках. В цей період проходить вихід трансмісійних личинок з комах.
Через рани, нанесені гілочкам жуками, нематоди проникають в деревину здорового дерева. Харчуючись на епітеліальних клітинах смоляних каналів, нематоди швидко розмножуються і розселяються по всьому дереву (стовбуру і гілкам). Також нематоди харчуються на фітопатогенних грибах (Сеratocystis, Botrytis), що теж поширюються жуками-вусачами. Уражені нематодами і грибами гілки засихають.
Висока плодовитість Вursaphelenchus xylophilus підтверджена експериментально. При оптимальній температурі +25°С розвиток соснової стовбурової нематоди від яйця до статевозрілої особини (імаго) завершується за 4-5днів. За репродуктивний період (28днів) самиця породжує в середньому 79 яєць. Таким чином, при сприятливих умовах, потомство кожної самиці через 15днів, теоретично, складає 263 000 екземплярів. Згідно дослідженням, через 24 години після ураження рослини, нематод знаходили не тільки в стовбурі заражених саджанців, але й у гілках та коренях.
Після додаткового живлення самки жуків відкладають яйця на ослаблені чи загиблі дерева, де також відбувається вихід нематод. Вилупившись з яєць, личинки жуків проникають під кору дерева, де харчуються, і в кінці свого розвитку утворюють пупальну колисочку, в якій заляльковуються. Ураження комахи нематодами проходить перед виходом імаго з лялечки. Личинки нематод 4-го віку (трансмісійні) заселяють як зовнішні, так і внутрішні органи комахи, концентруючись в трахеях жуків. Далі цикл розвитку повторюється.
Таким чином розвиток нематоди від яйця до статевозрілої стадії відбувається двома шляхами: генеративним та дисперсійним.
Генеративний (без участі комах) шлях розвитку починається після виходу нематод із жука, і приводить до різкого зростання чисельності нематод усередині ураженого дерева, під час їх харчування на клітинах деревини (фітофагія) та фітопатогенних грибах (мікофагія).
Паралельно генеративному шляху розвитку у загиблих деревах без участі комах, відбувається дисперсійний шлях розвитку нематоди – за участю комах. Його особливістю є наявність дисперсійної личинки 3-го віку, що морфологічно та фізіологічно відрізняється від личинки цього віку при генеративному шляху розвитку. Дисперсійна личинка дуже стійка до несприятливих факторів: низьких температур, дефіциту їжі та вологи. Зимує соснова стовбурова нематода саме в стадії дисперсійної личинки. До кінця зими дисперсійна личинка линяє та перетворюється в трансмісійну личинку 4-го віку (дауерлярва). Час утворення цієї личинки пов'язаний з появою в лялечці комахи молодого імаго. Трансмісійні личинки, адаптовані фізіологічно до жука- переносника, проникають через його дихальця і розселяються по всьому тілу комахи, концентруючись в основному в трахейній системі.

Bursaphelenchus xilophilus - червоподібний різностатевий мікроорганізм, довжиною 0,7-0,9мм.
Відмінні морфологічні ознаки Bursaphelenchus xilophilus:
головний кінець Bursaphelenchus xilophilus
середній бульбус Bursaphelenchus xilophilus
хвіст самця з бурсою та спікулами
у самців:
Самиці характеризуються наявністю вульварного клапану та заокругленого хвоста

У самиць Bursaphelenchus xilophilus задній кінець тіла закруглений майже у всіх особин, на відміну від непатогенного виду Bursaphelenchus mucronatus та виду Bursaphelenchus fraudulentus (який зустрічається тільки на листяних породах). Самиці цих двох непатогенних видів мають загострений хвостовий кінець тіла з кінцевим виростом - мукро. Базуючись на формі кінчика хвоста, у карантинного вида Bursaphelenchus xilophilus вирізняють дві форми: форма «R» (від англійського round – круглий) – особини з круглим кінчиком хвоста; та форма «М» - самиці з загостреним кінчиком хвоста з мукро. Тож при ідентифікації соснової стовбурової нематоди також використовують такі критерії, як регіон поширення та рослина-хазяїн. Якщо досліджується хвойна деревина із Північної Америки, то до Bursaphelenchus xilophilus відносять самиць і з круглим, і з мукровидним хвостом. Якщо хвойні матеріали із Європи або Азії, то особини з мукровидним хвостом ідентифікують як вид Bursaphelenchus mucronatus, а з округлим хвостом – як Bursaphelenchus xilophilus.
Царство: Animalia - Тварини
Тип: Arthropoda - Членістоногі
Підтип: Нexapoda - Шестиногі
Клас Insecta - Koмaxu
Порядок: Lepidoptera - Лycкокрилі
Poдина: Gelechiidae – Виїмчатокрилі молі
Pід: Keiferia
Bид: Keiferia lycopersicella Wals.- томатна міль (томатний мінер)
Головні:
Другорядні:
Картопля (Solanum tuberosum) також являється господарем, але ураження шкідником відбувається лише на полі (зелені частини).
Деякі бур’яни також можуть бути господарями: Solanum americanum var. nodiflorum, S.bahamese, S. carolinense, S. viarum, S. dulcamara і S. elaeagnifolium.
Але не пошкоджує перець і тютюн.
Самки відкладають яйця на рослинах переважно з нижнього боку листків рослин, але коли щільність шкідника висока, яйця можна знайти де завгодно на рослині. Самки відкладають від 50 до 200 яєць. Яйцекладка триває 3,5 - 9 днів.
Гусениці K. lycopersicella проходять 4 вікові групи. На молодих рослинах, поки немає плодів, перші два віку гусені знаходяться всередині листя. Гусениці старших вікових груп скручують листя знаходяться всередині них, пошкоджують плоди і стебла. Гусениці потрапляють в плоди в основному під плодоніжкою - це є найбільш поширеним місцем проникнення.. Розвиток гусениці триває від 9 до 17 днів.
Після завершення розвитку гусениці падають на землю, заглиблюються в грунт до глибини 1-2 см, де утворюють кокон з шовкових «ниток» і частинок грунту і заляльковуються.
Стадія лялечки може тривати то 5 днів до 38 днів. При температурі 26 ° С - стадія лялечки триває 10-11 днів.
Лялечки в основному знаходяться трохи нижче поверхні грунту, під рослинними залишками або в плодах (останнє є рідкісним).
Метелики живуть від 1 до 3-х. тижнів. Через 1-2 доби після виходу з лялечки метелики починають спарюватися. Протягом доби вони сидять в схованках, активність починається в сутінковий період.
Нижній поріг розвитку шкідника складає 11 градусів тепла. Ця комаха не має діапаузи, тому за температурою нижче 10 °С в цілому вони не виживають.
Яйця не будуть розвиватися за температурах вище 41 °С, але гусені триватимуть розвиватися при температурах до 44 ° С. З початку яйця світло – жовті, потім темнішають, перед виходом гусені стають світло помаранчевими. За температурою 20,7 °С гусені виходять із яєць через 4-9 днів, за температурою 27 – 29 °С через 4-4,5 дні.
Розвиток від яйця до дорослої комахи коливається від 18 днів при 35 ° С до 118 днів при 14 °С.
В умовах клімату Південної Каліфорнії це близько 8 поколінь в рік. У Мексиці, тепліші температури дозволяють утворювати 10 і більше покоління в рік протягом трьох сезонів виробництва томатів.
Пошкодження подібні до пошкоджень, які викликані T. absoluta. Гусениці можуть пошкоджувати квіти, листя, плоди. (мал 1,2)
На листях живляться гусениці першої і другої вікових стадій як листкові мінери, роблячи міни. Пізніші листя скручують . Пошкодження плодів відбувається, коли личинки проникають всередину томатів (зазвичай, під чашечкою), плоди стають непридатними для продажу і мають бути знищені.
На баклажанах, пошкодження в основному на стеблах. Пошкодження на плодах тільки поверхневі, оскільки личинки рідко проникають в плоди.
На картоплі, пошкодження (личинки живляться листям) відбувається дуже рідко і тільки на полях.
Регіон ЄОКЗР: Відсутній (1 виявлення в Італії в 2008).
Північна Америка:
*ймовірно швидкоплинні поселення, **перезимували на відкритому повітрі.
Центральна Америка: Коста Ріка, Ель Сальвадор, Гватемала. Гондурас, Нікарагуа і Панама.
Це загалом розглядається, що K. lycopersicella походить з Центральної Америки.
Карибський басейн: Бермудські острови, Куба, Домініканська Республіка, Гаїті, Ямайка, Тринідад і Тобаго (Тринідад).
Південна Америка: Болівія, Колумбія, Еквадор, Гуана, Перу і Венесуела.
Усі життєві стадії можуть проникати з плодами томатів і баклажанів або із зеленими частинами з місць поширення K. lycopersicella (плоди і розсада).
Листя розсади можуть містити яйця, личинки і лялечки K. lycopersicella.
Лялечки можуть поширюватися з ґрунтом, оскільки вони можуть знаходитись в часточках ґрунту. Навіть якщо картопля розглядається, як не головний господар, лялечки, можуть поширюватись з картоплею, яка перевозиться з ґрунтом. Але жодна з його життєвих стадій не уражує бульби картоплі.
Пакувальні матеріали (ящики, коробки, які використовували під час збору і упаковки томатів і баклажанів) з місць поширення K. Lycopersicella. Тільки треті і четверті личинкові вікові стадії, які проходять всередині плодів, ймовірно, не переносяться з пакувальним матеріалом. Життєва стадія, яка може переноситись з тарою – лялечки, дорослі стадії.
Живі декоративні пасльонові рослини.
Дорослі імаго можуть поширюватись в тарі з плодами.
Такі шляхи поширення схожі з поширенням T. absoluta.
Інші шляхи поширення, але не вивчені:
Подорожування імаго «автостопом» в контейнерах, машинах і транспортних засобах з місць поширення K. lycopersicella
Цей шлях обговорювався групою експертів в порівнянні з T. absoluta. Імаго T. absoluta можуть бути приваблені світлом (від фар) і запахом томатів, тому можуть асоціюватись з можливістю перевезення з транспортними засобами (в контейнерах, під тентами та ін.). Цей шлях здається менш ймовірним для K. lycopersicella і вважається дуже незначним шляхом проникнення, порівняно з тарою.
Природнє поширення. Про природнє поширення K. lycopersicella є звіти в Америці і країнах Карибського басейну. Є записи про те, що шкідник рухається зі штормовими фронтами в країнах Америки.

Мал. 1 Пошкодження на плодах томатів Van Waddill, Університет Флориди

Мал. 2 Пошкодження на листі томатів. Extension Entomology, Department of Entomology, Texas A&M University
Джерело інформації
Заснована на морфології та морфометрії.
Серпантинний тип мін у гусеней молодшого віку схож на міни личинок мух рода Lirionyza. Однак їх легко відрізнити. Личинки листових мінерів залишають екскременти в міні. А гусені томатної молі виносять їх на поверхню і залишають у вхідного отвору. Тіло гусені сірувато-зеленого кольору, середньо та задньогрудинні сегменти пурпурового забарвлення. Сегменти черевця з пурпуровими плямами, які формують приспинні та пристигмальні ряди.
Гусені діагностують по хетотаксії. Слід звертати увагу на щетинку 7 другого сегменту черевця. Вона видалена від щетинок 7 а і 7 б і лежить посередині між 6а та 8 на 8 му сегменті черевця щетинка 7 одна. Щетинка 3 знаходиться попереду стигми на 9 м сегменті черевця . Щетинка 3 значно менш за щетинку 1 і не має щітка. Або він дуже малий. Щетинка 6 розташована на загальному щітку або поряд з щетинками 4 та 5. На 10 му сегменті черевця є одна додаткова щетинка між 5 і 7 б.
Метелик невеликий, розмах крил 9-12 мм, коричневого або сірого кольору. (мал 1) Губні щупики мають коротку щітку на нижньому боці 2 го членику. Третій членик вкрито лусочками, здавлений з гострим кінчиком. Голова та грудь вкриті темно – коричневими плямами. Переднє крило видовжено-овальної форми. Заднє крило закінчується гострою верхівкою, має крупну китицю волосяних лусочок, розширені на кінці костальную жилку у самиць і розширену від основи костальную жилку у самця. Черевце темнувате. На кінчику світло-охристе, на нижньому боці зі світло охристими вкрапленнями темними плямами.
На відміну від Tuta absoluta та Phthorimaea operculella метелик більш світлий. Голова попереду охряно – біла, передні крила охряно-сірі з такого ж кольору бахромою. Костальная частина вальви у самця сильно виогнута посередині розширена в дистальної частині. На відміну від картопляної молі у самця відсутні китиці під восьмим сегментом. Едеагус дуже довгий. Тонкий, кулеподібне роздутий в основані. (мал.2)

Мал. 1 Доросла комаха Keiferia lycopersicellaSangMi Lee (Місіссіпі, Ентомологічний музей - US)

Мал. 2 Геніталії Keiferia lycopersicella
a) ункус видовжений, вузький та вигнутий
b) вальва видовжена, в середині вигнута, розширена к верхівці та роздвоєна
c) тегумен вузький, вигнутий в середній частині
d) гнатос овальний, видовжений
e) виникулум з довгим струнким саккусом
f) едагус видовжений. стрункий з кулеподібною основою
Джерело інформації
Перша інформація про вірус ToBRFV з'явилася в 2014 році - його симптоми у томатів були виявлені в Ізраілі.Через рік ToBRFV був помічений в Йорданії. А далі незвичайні симптоми стали з'являтися у помідорів в Німеччині, зокрема, в комерційних теплицях в землях Північного Рейн-Вестфалія. Вірус був підтверджений в 7 теплицях. Постраждало більше 25 гектарів вирощених томатів.

Рис.1 a,b,c,d - плоди томата уражені ToBRFV; e, f, g – пошкодження листови пласти та квітконіжок рослин томаітів
Восени 2018 року ToBRFV був помічений в каліфорнійських теплицях округу Санта-Барбара.
Так як ToBRFV є відносно новим вірусом, культури ще не встигли адаптуватися до нього. Вірус тісно пов'язаний з вірусом тютюнової мозаїки і вірусом мозаїки томату, до яких сорти сучасних томатів мають стійкість. Але стійкості до вірусу томатно-коричневого зморшкуватості плода немає.
Уражує рослини томата і призводить до мозаїчного забарвлення листя, а також знебарвлення і деформації плодів. Симптоми листя включають хлороз, мозаїку з темно-зеленими виступами і звуження листової пластини.
Плоди покриваються бурими та/або жовтими плямами, часто концентруються навколо квітконіжки, з’являється зморшкувата дефомація, що все разом робить плоди непридатними для вживання та продажу.
ToBRFV може легко поширюватися з теплиці в теплицю через обладнання, переноситися на одязі працівників (відвідувачів) або за допомогою птахів і джмелів.

Рис.2 А - Бурі плями на зелених плодах сконцентровані ближче до квітконіжки; B – яскраво виражені симптоми на стиглих плодах томату (бура плямистість та зморшкувата текстура)
В наш час вважається, що ToBRFV не передається через насіння, але гарантій вчені не дають і в цьому випадку. Віруси томатів дуже життєздатні і можуть довгий час виживати без рослини-господаря в рослинних рештках, грунті або на іншому матеріалі, не втрачаючи своєї вірулентності. Тому рекомендується ретельна дезінфекція обладнання та дотримання сівозміни.
Передача: Вірус ToBRFV може легко передаватися через заражені інструменти, руки, одяг, грунт і безпосередньо від рослини до рослини, так як вірус дуже стійкий. Вірус також може поширюватися обпилювачами, такими як бджоли і джмелі. Генетична резистентність у томатів, яка захищає від багатьох томатних вірусів, неефективна проти ToBRFV.
Профілактика: Заходи контролю дуже обмежені. Профілактика, в основному, заснована на знищенні заражених рослин і дотриманні суворих заходів дезінфекції у працівників теплиць, знезараження інструментів, часте миття рук і чищення взуття перед входом в теплиці.
Бур’яни (рос. «сорные растения», «сорняки») – це збірна назва для всіх представників рослинного світу, що ростуть у небажаних для людини місцях. Саме тому бур’яни – це поняття достатньо відносне. Адже навіть культурна рослина, яка залишила після себе насіння, в наступному році може виявитися дуже небажаною для вже нового культурного посіву. Прикладом може слугувати посів пшениці на полі, де в минулому році висівався соняшник.
Бур’яни як явище поширене по всій планеті. Орієнтовна кількість видів бур’янів за оцінками науковців сягає понад 1500 видів (у деяких джерелах понад 2000), що засмічують як землі сільськогосподарського призначення, так і лісосмуги, узбіччя доріг, побутові звалища тощо. Серед них біля 100 видів є шкідливими та отруйними для тварин (і людини).
Існує багато способів систематизації та класифікації бур’янів за їх біологічними особливостями. На сьогоднішній день найбільш поширеними та зручними є такі типи класифікації:
a) В залежності від способу живлення
b) За тривалістю вегетації
c) В залежності від способі розмноження

Такі класифікатори спираються не тільки на найважливіші складові життя рослини-бур’яну як одного з компонентів агросистем (або навіть агроекосистем), але і враховують їх біологічні особливості, як представника рослинного царства живої природи. Важливо пам’ятати, що бур’яни не можна вважати зайвою ланкою живої природи. Зайвою є тільки їх присутність на угіддях, що культивуються людиною, або поширення серед іншим штучних систем (парки, пасовища та штучні луки, узбіччя доріг, індивідуальні сільскогосподарські ділянки тощо).

Карантинні бур’яни – це найбільш шкідливі види бур’янів, які не ростуть або обмежено присутні на даній території, але мають великий потенційний ареал можливої натуралізації.
Завезені бур’яни на нових територіях часто є більше агресивними, аніж на своїй батьківщині, де їх розповсюдження обмежується хворобами, шкідниками та іншими біологічними факторами. Нові бур’яни можуть бути завезені з насіннєвим матеріалом, з продовольчим зерном, рослинною сировиною тощо.
Для захисту сільського господарства від занесення карантинних бур’янів в багатьох країнах світу (включаючи Україну) розроблені спеціальні карантинні заходи.
Перелік карантинних організмів затверджується на державному рівні у кожній країні. Ознайомитися з переліком карантинних організмів, що відсутні в Україні (так званий список А-1) та карантинних організмів, що мають обмежене поширення на території України (список А-2) можна на офіційному сайті Верховної Ради України за електронною адресою сторінки: https://zakon.rada.gov.ua/laws/show/z0879-19

Rhizobium radiobacter (відомий також як Agrobacterium tumefaciens) - вид грамнегативних, облігатних аеробних палочкоподібних грунтових бактерій роду Rhizobium. Здатна тран сформувати клітини рослин за допомогою спеціальної плазміди. Використовується в генній інженерії для трансформації рослин. Бактеріальний рак винограду є однією з найбільш розповсюджених і економічно важливих бактеріальних хвороб рослин. Хвороба має найбільше значення в Європі, США, Південній Африці та інших країнах. Вона завдає постійних збитків виноградарству, що виражається в зниженні врожайності на уражених кущах та їх подальшому відмиранні.Виноград уражується переважно третім біоваром, який має назву Agrobacterium vitis , за останньою пропозицією щодо систематики агробактерій — Rhizobium vitis.В Україні бактеріальний рак винограду зустрічається у всіх виноградарських зонах, ступені візуального ураження ним у середньому коливаються від 1—2% до 20—35%, на окремих насадженнях ще вищі. Хвороба має важливе економічне значення для виноградарства України, що пов’язано з її континентальними кліматичними умовами, а саме — періодичними морозами взимку, що викликає пошкодження багаторічної деревини. В даний час поширений у всьому світі бактеріальний рак є однією з найбільш шкідливих хвороб винограду. Фітопатогенна бактерія Rhizobium vitis, яка мешкає в грунті, викликає пухлини у більш ніж 1000 видів.
Головний симптом зараження кореневим раком - це утворення пухлин на надземних (виноград, троянди, хризантеми) і підземних (малина, деревні чагарники) органах рослин. Кореневий бактеріальний рак викликає утворення наростів (зобоватості) і пухлин. У більшості випадків кореневий рак є системним захворюванням і викликає псування не одного, а цілого ряду рослин сільськогосподарських культур. Заражаючи рослину, збудник кореневого бактеріального раку довгий час може бути в контакті з нею, але при цьому може не викликати захворювання, обов'язковою умовою зараження є поранення рослинної тканини. Якщо збудник потрапляє в провідну систему рослини симптоми формуються на пагоневій частині, що в подальшому призводить до виснаження рослин, усихання і подальшої її загибелі.
Нарости можуть утворюватися на основних, бічних коренях і кореневій шийці. Спочатку вони м'які, невеликого розміру, поверхня їх гладка потім відбувається їх розростання, вони тверднуть. Їх поверхня стає горбистою, так як на них утворюються нові нарости . М'які нарости мають біле забарвлення, вони швидше розростаються, ніж тверді. Середній діаметр наростів і пухлин становить 3,5- 7,0 см, але восени ракові утворення загнивають і руйнуються, виділяючи при цьому велику кількість бактерій, які потрапляють в грунт і заражають його. Іноді нарости руйнуються повністю, але на наступний рік можуть з'явитись на тому ж самому місці.

Agrobacterium tumefaciens має здатність зберігатися в грунті більше року, що є основним шляхом для передачі інфекції через пошкоджені корені дерев і кореневі залишки. Вивільнені після збирання саджанців бактерії переносяться водою на корені пересаджуваних рослин. Вони проникають у здорові коріння через механічні пошкодження, які утворюються при пораненні рослини комахами і шкідниками. Однак бактерії можуть потрапляти не тільки в підземні частини рослини. Збудник кореневого раку вражає рослинні клітини, але при цьому не вбиває їх, а діє шляхом стимуляції їх до нерегулярного поділу. Під дією цих бактерій посилюється поділ саме паренхимних клітин, що призводить до збільшення їх обсягу, до утворення наростів і пухлин. Уражені саджанці відстають у своєму зростанні і розвитку, вступають пізніше в пору плодоношення, ніж здорові саджанці. На поширення збудника кореневого бактеріального раку значний вплив мають абіотичні і біотичні фактори природного середовища. Низькі або високі температури, дефіцит вологи, нестача кисню, переущільнення ґрунтів, механічні пошкодження кореневої системи рослин викликають стреси і служать активаторами процесу зараження кореневим раком. Великий вплив має кислотність грунту: в нейтральному і слаболужному середовищі збудник активно розвивається, що не спостерігається в кислому середовищі при pH 5,0 і нижче . Стійких до бактеріального раку сортів винограду немає. У практиці захисту рослин відсутні хімічні препарати з антибактеріальним ефектом, здатні проникати глибоко в тканини рослини без надання фітотоксичної дії. До теперішнього часу не були розроблені засоби і методи боротьби з бактеріальним раком через фітотоксичність існуючих пестицидів.


В Дніпропетровській області 07.11.2018 р. при проведенні фітосанітарного контролю вантажів гранатів виявлено відсутній на території України карантинний організм - середземноморська плодова муха (Ceratitis capitata Wied.) на стадії личинки у живому стані.
Ceratitis capitata Wied. – широкий поліфаг, пошкоджує близько 200 видів рослин із різних родин, однак найбільше цитрусові, авокадо, хурму, банани, суниці, гранати, манго, груші, яблука, сливи, черешні, виноград, томати, баклажани, перець. На плодах видно місце проколу, який робить самка під час яйцекладки. Самки мухи дуже плодючі, можуть відкладати до 1000 яєць.
Карантинний шкідник розміром 4,5-7 мм (дещо менше кімнатної мухи). Самки більші за самців. Забарвлення строкате. Голова велика, білувато-сіра, з великими червоними очима, які мають зеленуватий блиск. Груди чорні з жовтувато-білими лініями і плямами, на плечах білі кільця. Черевце жовте з двома поперечними свинцево-сірими смужками. У самки тонкий гострий яйцеклад. Крила широкі з двома поперечними і однієї поздовжньої димчасто-сірими смужками. Ноги охряно-жовті.

Літо. Рослини цвітуть та радують нас своєю красою. Але для більшості людей, схильних до алергії, вкотре постає проблема, як захиститись від полінозу, як позбутись ненависної амброзії. На допомогу нам приходять жуки амброзієвого листоїда.
Минулого року в деяких районах Дніпропетровської області були виявлені колонії жуків амброзієвого листоїда. До того дійшли повідомлення про виявлення його у Запорізькій області. За своїми розмірами, формою та забарвленням ці комахи дуже нагадують сумнозвісних колорадських жуків. Більш того, амброзієвий смугастий листоїд (латинська назва – Zygogramma suturalis F.) є їх близьким родичем, оскільки обидва належать до однієї родини. Проте, на відміну від найзапеклішого ворога усіх городників – колорадського жука, зігограма здатен неабияк догодити й допомогти нашим дачникам і городникам у їхній запеклій боротьбі з такою заморською напастю як амброзія. Специфічність амброзієвого листоїда у тому, що його єдиною їжею є полинолиста та багатолітня амброзія.
Обидва види жуків потрапили до Європи і до України, зокрема, з Америки. Колорадський жук був завезений випадково і за короткий строк став одним із найнебезпечніших шкідників сільськогосподарських культур. У європейських країнах щорічні збитки від вторгнення колорадських жуків вимірюються багатьма мільярдами доларів.

Завдає шкоди бобовим культурам у полі та складських приміщеннях, імаго іноді обгризають листки живих рослин. Основних економічних збитків зернівка завдає після збору арахісу та при його зберіганні.
Географічне поширення. Батьківщина арахісового зерноїда – Південна Азія. Він занесен в інші райони Азії, Африки. Сейчас даний вид поширений в Гані, Гвінеї, Греції, Єгипті, Заїрі, Ізраїлі, Індії, Індонезії, Йорданії, Камеруні, Кенії, Лівані, Сенегалі, Сирії, Сомалі, Судані, Тунісі, Туреччині, Шрі-Ланці, країнах колишньої Югославії.
Біологія. Самка арахісового зерноїда відкладає на поверхню субстрату по одному яйцю, приклеюючи їх виділеннями придаточних залоз. Ембріон, який закінчив розвиток, прогризає оболонку яйця з нижньої сторони і, не залишаючи його, вбурлюється у стулку боба чи у насінину. Вхідний отвір дуже дрібний – 0,25 мм. Личинка 1-го віку знаходиться у сітчастій оболонці плода арахісу, потім проникає у насінину, де і розвивається. Для заляльковування, вона покидає пошкоджений плід, робить вхідний отвір діаметром 3 мм і серед зерен арахісу сплітає кокон.

Одним із наслідків поширення антропогенного впливу на біосферу Землі в ХХІ столітті є біологічні інвазії – переміщення рослин, тварин за межі їх природних ареалів. Глобалізація економіки, перевезення товарів різними видами транспорту, туризм призвели до того, що в наш час кожну секунду переміщуються мільйони тонн вантажів. Разом з ними за межі своїх природних ареалів переміщуються і біологічні види – перевозяться з сировиною, в тарі, з водними суднами, поїздами, трейлерами тощо. Результатом таких переміщень є поява в Україні нового чужорідного виду шкідливої ентомофауни – каштанової мінуючої молі. Цей шкідник представляє серйозну загрозу для кінського каштану (Aesculus hippocastanum), який широко застосовується в озелененні вулиць, скверів, парків нашої країни. В останні роки каштани раптом почали сохнути, влітку скидати листя, восени цвісти. Виявилося, що бідою наших улюблених каштанів є міліметрових розмірів комаха – Cameraria ohridella Deschka et Dimic або каштанова мінуюча міль – вид невідомого походження, який був виявлений в Македонії поблизу озера Охрід в 1985 році. Вважається, що переміщення цього шкідника в Україну розпочалося в 1998 – 1999 р.р. з Угорщини. Протягом останніх років вид поширився на території більшої частини Західної Європи і розпочав масово завойовувати західні та центральні регіони України, зокрема, Закарпатську, Львівську, Київську, Дніпропетровську та інші області.

Останнім часом багато садоводів та фермерів цікавляться, що за ненажерлива красуня атакує весняні квіти та плодові дерева, як з нею боротися на присадибних ділянках та в промислових садах.
Оленка волохата (Epicometis hirta Poda.) - найбільш численний і шкідливий вид для насаджень плодових, ягідних культур і винограду, особливо за останні шість років. Першими на оленку волохату, як шкідника, звернули увагу в 1793 році, відзначивши спустошення, спричинені нею в садах Астрахані та Криму. Масові розмноження виду спостерігалися в Херсонській губернії, в Бессарабії, Саратовській губернії, а також поблизу Відня, в Греції, на Корсиці, в Угорщині, Франції та Італії. Пізніше оленка волохата майже зникла з переліку шкідливих, та, починаючи з 1997 р., її чисельність помітно зросла й знову завдає шкоди багатьом плодовим та квітковим культурам. Всі стадії розвитку оленки пов’язані з ґрунтом. Та наразі не всі інтенсивно обробляють ґрунт у саду та в полі. У зв'язку з цим, на особливостях розвитку цього виду і заходах захисту від нього зупинимося детальніше.

Мал.1

Мал.2
Протягом 2016 року було знайдено регульований мікологічний шкідливий організм, відсутній в Україні, який визиває диплодиозну суху гниль кукурудзи. Конідіальна стадія збудника диплодиозу - Diplodia zeae (сумчаста стадія - Stenocarpella maydis(Berlkeley)Sutton) була виявлена в кукурудзі для попкорну, походженням США, в кількості 7 випадків.
Захворювання проявляється на качанах, стеблах, листкових піхвах і листі. При підвищеній вологості в період зберігання збудник диплодиозу продовжує свій розвиток. Захворювання значно знижує врожай, погіршує якість качанів і насіння і призводить до загибелі сходи. Незначна частина хворих зернівок може дати проростки, але вони зазвичай гинуть в грунті, не досягнувши поверхні. Іноді уражені насіння дають сходи, але коріння і нижня частина стебел таких рослин виявляються ураженими. На нижніх междовузлиях з'являються бурі плями, що призводять до розм'якшення тканин і зламів стебел. На листі також з'являються бурі плями.
На всіх уражених органах кукурудзи (стрижні качанів, зернівки, обгортки, стебла) видно ряди чорних крапок - пікнід, які виступають з-під епідермісу (мал.1). З таких пікнід виходять конідії частіше з однією перегородкою, які здійснюють повторні зараження. За розміром спор відрізняють два вида збудника диплодіозів. В нашому випадку це Diplodia zeae (мал. 2)

В 2016 році у вантажах імпортного арахісу із Індії, фахівцями Дніпропетровської обласної фітосанітарної лабораторії під час проведення експерти було виявлено карантинний, відсутній на території України шкідливий організм - арахісовий зерноїд (Caryedon gonagra Fabr.). Личинки в мертвому стані - 3 випадка та 1 випадок - личинки в живому стані. В усіх випадках виявлення шкідника до заражених вантажів було застосовано знезараження.
Арахісовий зерноїд – це карантинний шкідник, який відсутній в Україні, але регулярно виявляється у вантажах імпортного арахісу. Головні експортери цього продукту Індія, Аргентина та Китай. Найчастіше карантинного шкідника виявляли в індійському арахісі.
Арахіс є надзвичайно корисним для здоров'я людини, бо містить антиоксиданти, які захищають клітини організму від впливу небезпечних вільних радикалів. В Україні особливою популярністю серед споживачів користуються смажені арахісові боби. Також їх використовують для виготовлення цукерок, тістечок і печива на великих кондитерських підприємствах.
Досить часто кондитерські компанії не відразу використовують імпортний арахіс і складують його поряд з іншою сировиною. Якщо арахіс буде заражений арахісовим зерноїдом, то за умови сприятливих температурних показників, досить швидко шкідник знищить значну частину продукції. Це може призвести не лише до фінансових втрат, а й до погіршення якості продукції.

В 2016 році фахівцями Дніпропетровської обласної фітосанітарної лабораторії під час проведення експерти вперше було виявлено регульований, відсутній на території України шкідливий організм Callosobruchus chinensis Linn. - Китайський зерноїд, в маші із Узбекистана, імаго в мертвому стані - 1 випадок. Продукція була знезаражена в Узбекистані.
Батьківщина китайської зернівки Південно-Східна Азія. Сьогодні вона поширена в Європі, Азії, Африці, Австралії, Америці. На території України відсутня. Довжина жука 2,3...3 мм, забарвлення червонувато-коричнева. На середині переднеспинки є подвійний горбок, вкритий густими світлими волосками. Вусики в самки пилчасті, у самця гребінчасті. Надкрила мають неясну перев`язь з білих волосків, на черевці — плями з білих волосків.
Личинка китайської зернівки вигнута, безнога (тільки в першому віці вона має три пари дуже маленьких двучлениковых ніг), білого кольору, завдовжки до 4 мм, Самка відкладає від 56 до 103 яєць, відроджені личинки впроваджуються всередину насіння. В одному зерні може розвиватися одночасно до 10 личинок. Тривалість розвитку 45-196 днів. У рік може давати до 8-10 поколінь. При температурі мінус 10 С усі фази розвитку китайської зернівки гинуть через 6 год. Ознакою ураження зернівкою є добре помітні серпанкові круглі ділянки оболонки. Після виходу жуків «віконця» відпадають від зернин і наявність їх серед насіння-головна ознака присутності зерноїдів. Китайська зернівка завдає шкоди не тільки у сховищах, але й у полі.
До карантинним заходам належить ретельний огляд насіння бобових на наявність яєць (свіжовідкладені яйця світлі, прозорі, з гладкою блискучою поверхнею), льотних отворів або кришечок. Якщо ці зовнішні ознаки наявності шкідника відсутні, контролюють заселеність біологічним методом (доращівання). Основним заходом боротьби є фумігація зараженого насіння, розподіл в райони, де відсутні умови для акліматизації.

Амброзія полинолиста (лат. Ambrosia artemisiifolia L.) — представник родини Asteraceae (складноцвітих). Регульований шкідливий організм і є найбільш поширеним на території України.
Амброзія полинолиста являється регульованим обмеженно-поширеним шкідливим організмом, та наносить великої шкоди не лише сільському господарству, але й здоров'ю людини. Батьківщиною амброзії є Північна Америка. До України була завезена як лікарська рослина і вперше була виявлена на території Дніпропетровської області в 1914-1918 роках. Засмічує усі польові культури, сади, городи, узбіччя доріг, залізничні насипи, луки та пасовища, пустирі та інші необроблювані землі.

Повитиця польова (лат. Cuscuta campestris Junck) - представник родини Сuscutaceae. Належить до тонкостебельних видів повитиць.
Морфологія. Стебло - ниткоподібне, жовте або оранжево-жовте, витке, обвивається навколо рослин-живителів і присмоктується до них за допомогою особливих присосків - гаусторіїв. Листки - недорозвинуті, лусочковидні. Суцвіття - квітки дрібні, на ніжках, зібрані в густі клубочки, білі або зеленувато-білі. Чашечка напівкуляста, гладенька, блискуча. Віночок зеленувато-білий, дзвіночкоподібний , з розширеними до основи або трикутно-загостреними лопатями. Корінь - справжнього коріння у повитиці немає.

Ценхрус довгоголковий (лат. Cenchrus longispinus Fernald) - представник родини Poaceae (Graminea), Genus Bromus.
Росте на любих грунтах,але перевагу віддає пісчаним. Бур`ян засухостійкий. Засмічує всі польові культури, сади, узбіччя доріг, некультивовані землі.
Ценхрус довгоголковий – однорічна трав'яниста рослина. За зовнішнім виглядом, у початкові фази зростання рослини схожі на мишій зелений і плоскуху звичайну. Стебла плослі, прямі, біля основи злегка сланкі, легко укорінюються у вузлах, утворюють численні розгалуження. Довжина стебел від 15 до 80 см. Корінь мичкуватий, укорінюється не глибоко. Листки гладенькі, лінійні, вузькі, завширшки 2,5-5 мм, згорнуті, зверху загострені.

Повитиця Лемана (лат. Cuscuta Lehmanniana Bge) - представник родини Сuscutaceae. Належить до товстостебельних видів повитиць.
Поширена в усіх країнах Середньої Азії.В Україні розповсюджена в декількох областях в тому числі і на території Дніпропетровської області.
Морфологія.Однорічна рослина паразит. Стебло шнуроподібне, розгалужене, червонувате або жовтувате з яскраво вираженими червоними горбиками. Квітки червоні або рожеві,м'ясисті, зібрані в китицю по 3-23 квітки, завдовжки 6-7 мм.

У зв’язку зі збільшенням імпорту овочевих, квіткових і декоративних культур до України, почастішали випадки виявлення західного квіткового трипсу – небезпечного карантинного шкідника.
Західний квітковий трипс (Frankliniella Occidentalis Perg.) — багатоїдний шкідник, вражає більше 250 видів рослин з понад 65 родин. Його личинки та дорослі особини живляться на плодових культурах (абрикосі, персику, сливі, нектарині тощо); овочевих (томатах, огірках, солодкому перці, горосі); квіткових (трояндах, гвоздиках, хризантемах, герберах, гладіолусах), висмоктуючи клітинний сік рослин.

Американський білий метелик багатоїдний карантинний шкідник, який пошкоджує більш 300 видів плодових, лісодекоративних культур.
Батьківщиною шкідника є Північна Америка. У 1940 р. він потрапив до Європи, в 1952 р. до України, а в 1978 р. до Дніпропетровської області. На сьогодні вогнища американського білого метелика є в АР Крим та в 18 областях України, а саме, Вінницькій, Дніпропетровській, Донецькій, Закарпатській, Запорозькій, Івано-Франківській, Київській, Кіровоградській, Луганській, Миколаївській, Одеській, Полтавській, Тернопільській, Харківській, Херсонській, Хмельницькій, Черкаській, Чернівецькій.